huracanes

Últimas noticias

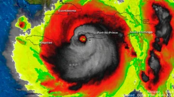
Huracu00e1n Julia. Cru00e9dito: NOAA's GOES 16 Satellite / Dominio pu00fablico

Cardenal pide rezar por quienes sufren a causa del huracán Julia

Oct 9, 2022

Por Walter Sánchez Silva

El Cardenal Leopoldo Brenes, Arzobispo de Managua, pidió rezar por todos los que sufren a causa del huracán Julia que... Leer más

Vistas au00e9reas de casas dau00f1adas por huracu00e1n Ian de WPLG-TV. Cru00e9dito: EWTN Noticias

Campañas de la Iglesia Católica para ayudar a los afectados por huracán Ian en Florida

Sep 29, 2022

Por Abel Camasca

El huracán Ian impactó en el estado de Florida el miércoles 28 de septiembre y a su paso dejó destrucción... Leer más

Huracu00e1n Ian visto desde el espacio. Cru00e9dito: EWTN Noticias / San Medardo. Cru00e9dito: elfabriciodelamancha - Face u00e0 la Mairie (CC-BY-SA-2.5)

¿Sabías que hay un santo protector ante huracanes y tormentas?

Sep 28, 2022

Por Abel Camasca

Con motivo de la llegada del huracán Ian a la Florida, la Diócesis de Orlando pidió la intercesión de San... Leer más

Vientos del huracu00e1n Ian llegando a la Florida. Cru00e9dito: EWTN Noticias

Iglesia en Florida pide oraciones ante inminente llegada de Huracán Ian

Sep 28, 2022

Por Abel Camasca

Las Diócesis de Orlando y Miami en Florida pidieron a los fieles unirse en oración y ponerse a buen recaudo... Leer más

ACI Prensa

Organizaciones católicas ayudan a puertorriqueños afectados por huracán Fiona

Sep 21, 2022

Catholic Charities USA y Cáritas Puerto Rico han activado sus planes de acción para iniciar el reparto de alimentos y... Leer más

Mons. David L. Toups con el Santu00edsimo Sacramento en el ru00edo Neches. Cru00e9dito: Dioces of Beaumont

Obispo clama a Dios con el Santísimo ante amenaza del huracán Ida

Aug 28, 2021

Por Walter Sánchez Silva

Mons. David L. Toups, Obispo de Beaumont en el estado de Texas, se dirigió el 27 de agosto al Río... Leer más

Imagen referencial / Cru00e9dito: Unsplash

Obispos de EEUU piden que no deporten a extranjeros de países devastados por huracanes

Feb 11, 2021

La Conferencia de Obispos Católicos de Estados Unidos (USCCB) y la organización benéfica Catholic Relief Services (CRS) pidieron el miércoles... Leer más

Huracán Iota: Caridades católicas se preparan para devastador impacto en Centroamérica

Nov 16, 2020

Por Diego López Marina

Caridades católicas como Catholic Relief Services y Cáritas Internationalis se preparan para el impacto del huracán Iota de categoría 5,... Leer más

Imagen referencial. Cru00e9dito: Brandon Morgan / Unsplash.

Alientan a rezar oración “por un fin a las tormentas” ante proximidad de huracán Laura

Aug 25, 2020

La Arquidiócesis de Galveston-Houston, en Texas (Estados Unidos), alentó a rezar la “Oración por un Fin a las Tormentas”, tomada... Leer más

Imagen de la Virgen de Guadalupe encontrada en el lecho del ru00edo Santa Catarina, en Monterrey. Cru00e9dito: Francisco Zuu00f1iga Esquivel.

Reaparece imagen de la Virgen de Guadalupe en río de México tras huracán Hanna [VIDEO]

Jul 31, 2020

Una imagen de la Virgen de Guadalupe que hace diez años fue derribada y arrojada por el huracán Alex al... Leer más

Inundaciones en Nayarit. Foto: Cu00e1ritas Mexicana.

Obispos de México alientan ayuda para 150.000 damnificados por huracán Willa

Nov 1, 2018

La Conferencia del Episcopado Mexicano (CEM) hizo un llamado a ayudar a los 150.000 damnificados que han dejado las intensas... Leer más

Agentes de la Secretaru00eda de la Defensa Nacional brindan apoyo por inundaciones en Michoacu00e1n, Mu00e9xico. Foto: Twitter / @SEDENAmx.

Solidaridad y prevención: El llamado urgente de Obispos de México ante desastres naturales

Oct 24, 2018

La Conferencia del Episcopado Mexicano hizo un llamado urgente a la solidaridad y prevención, ante los diversos desastres naturales que... Leer más

El huracu00e1n Florence visto desde el espacio / Foto: NASA

Diócesis de Carolina del Sur difunde oración ante amenaza del huracán Florence

Sep 12, 2018

La Diócesis de Charleston en Carolina del Sur (Estados Unidos), difundió una oración para pedir la protección de Dios ante... Leer más

Consecuencias del Huracu00e1n Harvey / Cru00e9dito: U.S. National Guard

Caballeros de Colón donan 1.4 millones de dólares para reconstrucción por huracanes en EEUU

Dec 19, 2017

Mientras los estados de Texas y Florida (Estados Unidos) continúan reconstruyendo luego de una devastadora temporada de huracanes, los Caballeros... Leer más

Cardenal Dolan / Foto:Flickr Boston Catholic (CC-BY-ND-2.0)

Cardenal Dolan: Impresiona la fe y la esperanza de Puerto Rico tras el huracán [VIDEO]

Nov 1, 2017

El Arzobispo de Nueva York, Cardenal Timothy Dolan, afirmó que la fe de los puertorriqueños tras el paso del huracán... Leer más

El Papa reza durante una celebraciu00f3n. Foto: L'Osservatore Romano

El Papa reza por las víctimas del terremoto en México y del huracán en Puerto Rico

Sep 27, 2017

En la Audiencia General del miércoles, el Papa Francisco recordó a las víctimas y damnificados por el reciente terremoto en... Leer más

Huracán María: Obispo en Puerto Rico alienta a prepararse y confiar en Dios

Sep 19, 2017

Ante la inminente llegada del huracán María a Puerto Rico, el Obispo de Ponce, Mons. Rubén Antonio González, invitó a... Leer más

ACI Prensa

México: Cardenal pide rezar por víctimas de terremoto y huracanes

Sep 11, 2017

El Arzobispo Primado de México, Cardenal Norberto Rivera Carrera, exhortó a todos los fieles a rezar por las víctimas del... Leer más

ACI Prensa

Ante llegada de huracán Irma, Arquidiócesis de Miami pide rezar a la Virgen de Guadalupe

Sep 10, 2017

Por María Ximena Rondón

Ante la llegada del huracán Irma al estado de Florida en la madrugada del domingo, la Arquidiócesis de Miami pidió... Leer más

Huracu00e1n Irma visto desde el espacio / Foto: NOAA/CIRA - NASA

Obispos de EEUU piden oraciones ante inminente llegada de huracán Irma a Florida

Sep 9, 2017

Por María Ximena Rondón

Los Obispos de Estados Unidos pidieron oraciones y perseverancia ante la llegada del huracán Irma a las cosas del país. Leer más