Ante la inminente llegada del huracán María a Puerto Rico, el Obispo de Ponce, Mons. Rubén Antonio González, invitó a todos los fieles a prepararse adecuadamente, mantener la calma y mantener un ambiente de confianza en Dios.
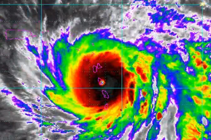
#Maria made landfall on Dominica at 915 pm AST as a category 5 #hurricane with 160 mph (260 km/h) winds https://t.co/QSxq7VPr15? pic.twitter.com/3Z1Q95WYlM
- NHC Atlantic Ops (@NHC_Atlantic) 19 de septiembre de 2017
Recibe las principales noticias de ACI Prensa por WhatsApp y Telegram
Cada vez es más difícil ver noticias católicas en las redes sociales. Suscríbete a nuestros canales gratuitos hoy:
El huracán María, que tocó tierra por primera vez como una tormenta de categoría 5, ha causado en Dominica una "devastación generalizada".
El huracán ha descendido a categoría 4, pero tiene vientos de hasta 265 kilómetros por hora. Podría afectar también las Islas Vírgenes.
Se estima que llegue a Puerto Rico, como un huracán mayor, este miércoles 20 de septiembre.
"En el camino previsto, el ojo de María se moverá hoy sobre el noreste del Mar Caribe y se acercará a las Islas Vírgenes y Puerto Rico esta noche y el miércoles", señala el Centro Nacional de Huracanes.
En una carta enviada a sus fieles, Mons. González invitó a "todo el pueblo de Dios, así como a todos los residentes de la diócesis de Ponce a una adecuada preparación previa y a la calma".
Ante el panorama actual, el Prelado exhortó a "promover en nuestras comunidades la suficiente preparación para afrontar el evento con seguridad. ¡Si nos preparamos bien, no tendremos nada que temer!"
"Exhorto a todos los fieles cristianos a que colaboren activamente con las autoridades civiles en lo necesario para salvaguardar la seguridad personal, la de sus familias y la de toda su comunidad", dijo luego.
El Obispo instó a buscar refugio hasta que pase el peligro y animó a "prestar especial atención a nuestros mayores y enfermos que necesiten movilización. Y sobre todo, a promover un ambiente de paz y confianza en Dios".
También te puede interesar:
VIDEOS y FOTOS: Obispos de México rezan por afectados tras nuevo sismo https://t.co/G3IRbYY7ib
- ACI Prensa (@aciprensa) 19 de septiembre de 2017

