El huracán Matthew, que ha acabado con la vida de más de un centenar de personas a su paso por el Caribe, podría tocar la península de Florida entre la noche del 6 de octubre o la mañana del 7. Ante el peligro, la Arquidiócesis de Miami ha propuesto una oración para pedirle a Dios, "todo bondad, todo vida", que envíe a sus ángeles "a cuidarnos y guardarnos".
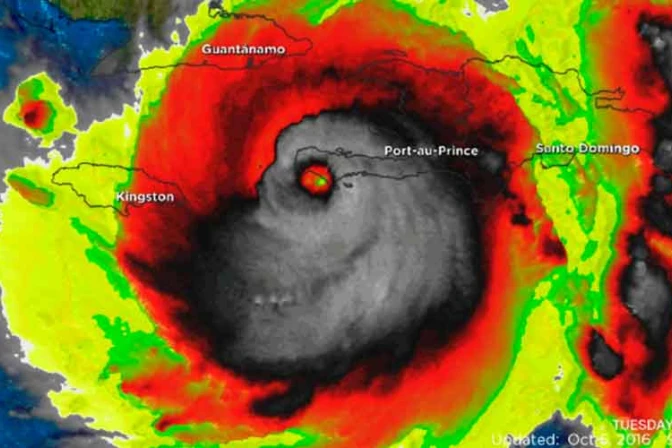
Sinister-looking face of #HurricaneMatthew at landfall in #Haiti [Un-doctored #weather #satellite image] pic.twitter.com/hrviDVuJ3R
- Stu Ostro (@StuOstro) 4 de octubre de 2016
Recibe las principales noticias de ACI Prensa por WhatsApp y Telegram
Cada vez es más difícil ver noticias católicas en las redes sociales. Suscríbete a nuestros canales gratuitos hoy:
En una publicación en su página de Facebook, la Arquidiócesis de Miami publicó la siguiente oración:
Dios del cielo y la tierra,
Dios que llevas nuestras vidas y las vidas
De toda nuestra comunidad en tus manos,
Quédate con nosotros en el peligro de este día/noche.
Ayúdanos a liberarnos de nuestras ansiedades y temores
En esas mismas manos cuidadosas,
Sabiendo en la fe que tu voluntad para nosotros es la vida
Y el bien perpetuo.
Envía a tus santos ángeles a cuidarnos y guardarnos.
Que puedan ellos abrir sus santas alas
Para darnos albergue contra la tormenta.
Porque solo tú, Oh Dios, eres todo bondad, toda vida, todo amor,
Y ese amor es para nosotros;
A través de Jesucristo Nuestro Señor.
Matthew, huracán de categoría 4, podría golpear dos veces la costa atlántica estadounidense. Las autoridades han exhortado a más de 2 millones de personas a abandonar sus hogares en las zonas costeras de Florida, Georgia y Carolina del Sur.
En los últimos días, el huracán ha golpeado diversos países como Haití y Bahamas, causando al menos 400 muertes.
En una de sus advertencias del 6 de octubre, el gobernador del estado de Florida, Rick Scott, aseguró que la amenaza "es seria".
"Si necesitan evacuar sus hogares y no lo han hecho, evacúen. Esta tormenta los matará. El tiempo se está acabando. No nos queda mucho tiempo", dijo.
El Arzobispado de Miami ha anunciado además que las escuelas católicas de la arquidiócesis y el centro pastoral arquidiocesano permanecerán cerrados hasta el 7 de octubre.
También te puede interesar:
Dan gracias a Dios en Catedral de México porque huracán Patricia no generó daños mayores https://t.co/M2l6qQPgtT
- ACI Prensa (@aciprensa) 26 de octubre de 2015

